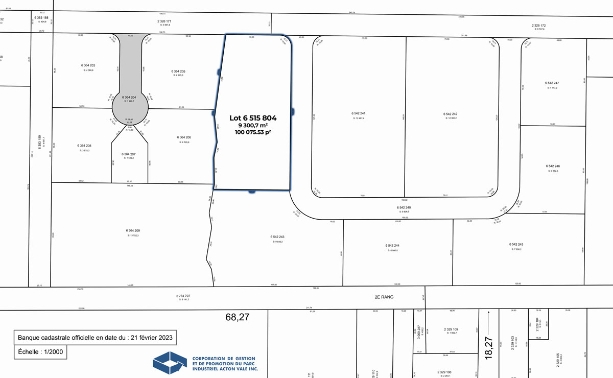
Lot 6 515 804

Terrain industriel à vendre dans le parc industriel d'Acton Vale.

terrain industriel à vendre dans le Parc Industriel d'Acton Vale

Terrain industriel disponible dès maintenant!

Lot: 6 515 804

Supperficie: 9 300,7m2 / 100 075.53 p2

Retour en haut