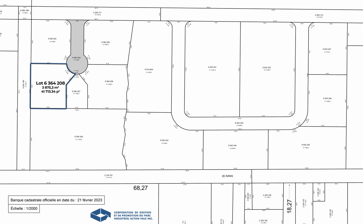
Lot 6 364 208

Terrain industriel à vendre dans le parc industriel d'Acton Vale.

terrain industriel à vendre dans le Parc Industriel d'Acton Vale

Terrain industriel disponible dès maintenant!

Lot : 6 364 208

Supperficie: 3 875,3 m2 / 41 713,34 p2

Retour en haut